Casa terrera de dos plantas (local, vivienda y azotea) en Lomo Blanco
Desde Ok7 Legalización y Gestión de Propiedades, expertos en la…
195.000 €
Playa del Cura, Mogán, Las Palmas, Canarias, 35129, España
Venta
140.000 €
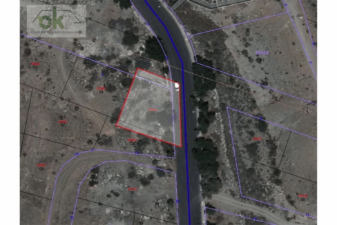
Desde Ok7 Legalización y Gestión de Propiedades, expertos en la regularización documental de propiedades y agentes inmobiliarios, ponemos a su disposición este solar de 364m² en Playa del Cura, a escasos 350 metros de la playa (cinco minutos a pie) y a pie de carretera (Calle Pardela), en llano y perfectamente catastrado e inscrito en el Registro de la Propiedad. Disponemos de certificado urbanístico emitido por el Ayuntamiento de Mogán estableciendo la categoría de Suelo Urbano Turístico Urbanizado que te da la posibilidad de construir 1/3 de la parcela en un máximo de dos plantas sobre rasante, esto y su increible ubicación lo hace ideal ya sea para hacer realidad su sueño de construir a su gusto un espectacular chalet unifamiliar en el sur de la isla o un proyecto de inversión que generará altísimo rendimiento. No dude en contactar con nosotros y estaremos encantados de aclarar cualquier duda al respecto.
#ref:Playa del Cura
Desde Ok7 Legalización y Gestión de Propiedades, expertos en la…
195.000 €
Desde Ok7 Legalización y Gestión de Propiedades, expertos en la…
395.000 €